Hirdetéskód: 8824775
Referenciaszám: 4780_443
Feltöltve: 2 napja
Balatonudvari eladó egyéb telek 700 m² telekterületű: 56,8 millió Ft
56,8 millió Ft
81 143 Ft/m²
700 m²
Leírás
BALATONUDVARIBAN BELTERÜLETI ÉPÍTÉSI TELEK ELADÓ
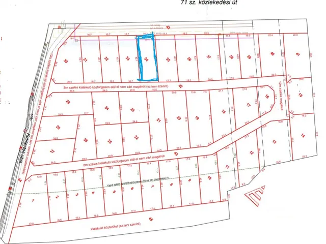
Udvari belterületén, a Keresztfa dűlőn, újonnan parcellázott 700 m2-es (16,7 m utcafronti szélességű) építési telket kínálunk eladásra, amelyről szép balatoni panoráma nyílik.
A teljes - újra felosztott - területen 45 db építési telek került kialakításra, közművesítése a telektulajdonosok összefogásával zajlik. A közeljövőben itt induló ingatlanfejlesztések egy remek elhelyezkedésű, újépítésű, lakóparkszerű településrészt hoznak létre Udvari keleti szélén, Örvényes határában.
A telek befektetésnek is kiváló. A Balatoni Golf Club 1 km, Udvari strand 500 m, Örvényes strand 1,9 km, vasútállomás 600 m, buszmegálló és élelmiszerbolt 600 m távolságra elérhető.
Lf4 falusias lakóterület övezetbe tartozik, ahol az elhelyezhető felépítmény: legfeljebb 1 db, 2 lakóegységet magában foglaló lakóépület lehet
- max. beépíthetőség 30 %, szabadon álló beépítési móddal
- min. zöldfelület 60 %
- max. épület magasság 4,5 m
Balatonudvari a Balaton északi partján, Balatonfüredtől 10 km-re, a Tihanyi-félsziget szomszédságában fekszik, csendes, nyugodt üdülőfalu. A településen két remek strand, kertmozi, nyári vendéglátóhelyek sokasága üzemel. Balatonfüred és Tihany közelsége biztosítja a pillanatok alatt elérhető infrastruktúrát, kulturális és sportolási lehetőségeket.
Építész- és ingatlanközvetítő irodánk minden hiteles szakmai segítséget meg tud adni, mellyel segíteni tudjuk döntését.
Kérje az ingatlan részletes tájékoztató anyagát!
Kövesse Balatoniingatlanguru facebook és balatoni_ingatlanguru instagram oldalunkat.
Hívjon bizalommal!
Balatoni ingatlanguru – több mint közvetítő
Tulajdonságok
Egyéb telek
Vedd fel a kapcsolatot a hirdetővel
+36 70 741 2
Hitelkalkulátor
Második évtől
253 382 Ft A 13. hónaptól
8,49%
Végig fix Futamidő: 20 év Banki visszahívás
Az OTP Bank munkatársai a neked megfelelő napszakban veszik fel veled a kapcsolatot.Vedd fel a kapcsolatot a hirdetővel
+36 70 741 2
Vedd fel a kapcsolatot a hirdetővel
+36 70 741 2
UI_KIT.CHARACTER_COUNTER__COMPONENT.REMAINING_SPACE__SR_ONLYUI_KIT.CHARACTER_COUNTER__COMPONENT.MAXIMUM_CHARACTER__SR_ONLY
Hasonló eladó ingatlanok Balatonudvarin
Frissítve: 20 napja
5
56,8 M Ft 81 143 Ft/m²
Eladó telek, Balatonudvari

Feltöltve: 1 éve
20
52,99 M Ft 10 501 Ft/m²
Eladó telek, Szentgál

Frissítve: 11 napja
1
53 M Ft
Eladó telek, Révfülöp

Fedezd fel a
hasonló telkeket!Még további telkek Veszprém megyében 56,8 M Ft körüli értékben
Tovább a hirdetésekhez Frissítve: 18 napja
7
59,9 M Ft
Eladó telek, Szigliget

Frissítve: 21 napja
20
55 M Ft 7 408 Ft/m²
Eladó telek, Badacsonytomaj

Frissítve: 18 napja
10
57,9 M Ft
Eladó telek, Szigliget


Töltsd fel hirdetésed ingyenesen!
Egyszerű