

+1 fotó
Hirdetéskód: 8741764
Referenciaszám: TK070717-5059095
Feltöltve: 1 napja
Győr eladó külterületi telek 32299 m² telekterületű: 49,9 millió Ft
49,9 millió Ft
32299 m²
Győr - MÉNFŐCSANAKON LAKÓÖVEZETTEL HATÁROS NAGYMÉRETŰ TELEK ELADÓ!
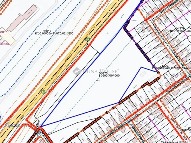
Győr-Ménfőcsanakon eladó a 83-as főút, valamint a Csontváry és a Nádasdy Ferenc utca által körülhatárolt beépítetlen terület. A telek 32300 m2, 3 oldalról körbekerített, jelenleg külterületi rét besorolású, 30 napos kifüggesztésre kötelezett. Összközmű kiépítettség, a területet körbehatároló utcákban elérhető. A ingatlan 1/1-es tulajdonossal rendelkezik, per- és tehermentes. A területre vonatkozó szabályozási terv felülvizsgálata, a Győr Megyei Jogú Város Polgármesteri Hivatala által folyamatban van. Amennyiben az átminősítés elérhetővé válik, akár építési telkek kialakítására is lehetőség nyílik. Az ingatlan a Gyirmóti Sport és Wellness Központtal szemben található, az Aranyhal horgásztó szomszédságában. A környező utcákat gondos családi házak színesítik, aszfaltos utak, közvilágítás, buszközlekedés és minden egyéb infrastruktúra elérhető. Győr-Ménfőcsanakon több társasházi lakópark is megtalálható, mely kedvelt célpont az élhető, kertvárosi környéken ingatlant keresők körében.
Ménfőcsanak Győr egyik városrésze, korábban 3 különálló község, Csanakfalu, Csanakhegy és Ménfő egyesítésével jött létre. 1970-ben csatolták Győrhöz, azóta a megyeszékhely része. Fekvését tekintve a Bakony és a Kisalföld találkozásánál helyezkedik el, Győr központjától légvonalban mintegy 7, közúton mintegy 9 kilométerre délre található. Legfontosabb közúti megközelítési útvonala az M1-es autópálya, amely kelet-nyugati irányban halad el a városrész északi peremvidékén, valamint a 83-as főút, amely dél-északi irányban húzódik végig Ménfőcsanakon. A környék fontosabb alsóbbrendű útjai közül Ménfőcsanaknál ér véget a Nyúltól Győrújbaráton át idáig húzódó 8311-es út, itt ágazik ki a 83-as főútból a Sokorópátka-Gic-Bakonytamási felé vezető 8309-es, illetve a Koroncó megközelítését biztosító 8418-as út is. Győr belvárosából a 21B, a 22-es, a 22B és a 22Y helyi autóbuszokkal közelíthető meg. A hazai vasútvonalak közül a városrészt a MÁV 10-es számú GyőrCelldömölk-vasútvonala érinti, megállóhelye Győr felől, felső Ménfőcsanakon található.
Amennyiben e kiváló lokációval rendelkező ingatlan felkeltette az érdeklődését, keressen bátran!
Referencia szám: TK070717-ZE
Tulajdonságok
Külterületi telek
Vedd fel a kapcsolatot a hirdetővel
+36 96 998 0
Hitelkalkulátor
Második évtől
222 602 Ft A 13. hónaptól
8,49%
Végig fix Futamidő: 20 év Banki visszahívás
Az OTP Bank munkatársai a neked megfelelő napszakban veszik fel veled a kapcsolatot.Vedd fel a kapcsolatot a hirdetővel
+36 96 998 0
Vedd fel a kapcsolatot a hirdetővel
+36 96 998 0
UI_KIT.CHARACTER_COUNTER__COMPONENT.REMAINING_SPACE__SR_ONLYUI_KIT.CHARACTER_COUNTER__COMPONENT.MAXIMUM_CHARACTER__SR_ONLY
Hasonló eladó ingatlanok Ménfőcsanak városrészben
Frissítve: ma

3
49,99 M Ft 9 306 Ft/m²
Eladó telek, Győr, Ménfőcsanak
Frissítve: 3 napja

5
49,9 M Ft 1 545 Ft/m²
Eladó telek, Győr

Frissítve: 21 napja

4
52 M Ft
Eladó telek, Győr, Szabadhegy, Tatai

Fedezd fel a
hasonló telkeket!Még további telkek Győr-Moson-Sopron megyében 49,9 M Ft körüli értékben
Tovább a hirdetésekhez Frissítve: 8 hónapja

1
45 M Ft 4 332 Ft/m²
Eladó telek, Győr, Gyirmót
Frissítve: ma

1
47 M Ft
Eladó telek, Győr, Újváros

Frissítve: 10 hónapja

1
45 M Ft 60 000 Ft/m²
Eladó telek, Harka

Töltsd fel hirdetésed ingyenesen!
Egyszerű